NĂM 2025 CÓ THỂ TRỞ THÀNH NĂM NÓNG NHẤT THỨ HAI MÀ KHÔNG CẦN EL NINO!

NHIỀU NĂM NỐI BẬT NHIỆT ĐOÁN: NĂM 2025 CÓ THỂ SÁT HÁC NỖI ĐẦU LỊCH SỬ VỀ NHIỆT ĐỘ TOÀN CẦU

Theo báo cáo mới nhất về tình trạng khí hậu toàn cầu của Tổ chức Khí tượng Thế giới (WMO), dù năm 2025 chưa xuất hiện hiện tượng El Nino và đang ở trạng thái La Nina nhẹ, nhiệt độ trung bình gần bề mặt Trái đất từ tháng 1 đến tháng 8 đã tăng khoảng 0,12 đến 1,42°C so với mức trung bình của giai đoạn tiền công nghiệp. Điều này khiến 2025 có khả năng trở thành năm nóng thứ hai trong lịch sử chỉ sau năm 2024.

Trong suốt 11 năm liên tiếp từ 2015 đến 2025, các năm đều là những năm nóng nhất ghi nhận trong chuỗi dữ liệu kéo dài 176 năm. Năm 2024 đã xác lập kỷ lục là năm nóng nhất lịch sử, với lượng khí nhà kính giữ nhiệt và nhiệt lượng tích trữ trong đại dương đạt mức cao kỷ lục. Diện tích băng biển ở Bắc Cực giảm xuống mức thấp nhất từ trước tới nay, đồng thời băng biển Nam Cực cũng thấp hơn trung bình suốt cả năm, thúc đẩy xu hướng mực nước biển dâng lên liên tục.

Nhiệt độ toàn cầu tăng cao dẫn đến các hiện tượng thời tiết cực đoan xuất hiện dồn dập, từ mưa lớn, lũ lụt dữ dội đến nắng nóng gay gắt và cháy rừng. Những biến đổi này không chỉ gây thiệt hại về kinh tế mà còn thay đổi cân bằng xã hội, dẫn đến tình trạng di cư và giảm phát triển bền vững.

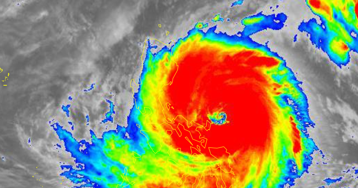
Tại Việt Nam và Đông Nam Á, đầu tháng 11 đã chứng kiến nhiều hiện tượng bất thường. Sau cơn bão Kalmaegi mạnh, xuất hiện siêu bão Fung Wong trên vùng biển Tây Bắc Thái Bình Dương. Sự xuất hiện liên tục của các siêu bão hiện nay được lý giải phần lớn do biến đổi khí hậu, khiến nhiệt độ mặt nước biển tại khu vực này ấm lên bất thường.

Trên đất liền, các tỉnh miền Bắc Việt Nam đang trải qua nồm ẩm sớm hơn thường lệ, gây lo ngại về sự bất thường của thời tiết. Chuyên gia khí tượng xác nhận đây là hiện tượng bất thường vì thường xảy ra vào cuối mùa đông đầu xuân, trong khoảng tháng 2 đến tháng 4. Nguyên nhân là do khối không khí lạnh suy yếu lệch đông và sự tác động của gió đông nam mang hơi ẩm từ biển vào đất liền.

Các nhà khoa học nhấn mạnh, để giữ mức nhiệt độ không vượt quá mức an toàn 1,5°C vào cuối thế kỷ, hành động của con người là cấp thiết và khả thi. Việc dự đoán chính xác các xu hướng khí hậu giúp xây dựng các hệ thống năng lượng sạch, đáng tin cậy và linh hoạt để ứng phó với những tác động ngày càng rõ rệt của biến đổi khí hậu.

Để lại một bình luận

Email của bạn sẽ không được hiển thị công khai. Các trường bắt buộc được đánh dấu *