SIÊU BÃO RAGASA SUY YẾU NHANH TRƯỚC KHI ĐỔ BỘ VÀO QUẢNG NINH – TẠI SAO ĐẾN KHÔNG NGỪNG MẤT MẠNH?

SIÊU BÃO RAGASA CẬN BỀN TRƯỚC KHI ĐỔ BỘ VÀO QUẢNG NINH – HẢI PHÒNG, CẢNH BÁO NGHIÊM TRỌNG VỀ MƯA LỚN, LŨ QUẮT VÀ NGẬP LỤT

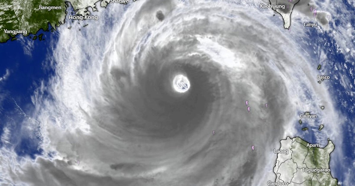
Trung tâm Dự báo khí tượng thủy văn quốc gia thông báo, vào lúc 10 giờ ngày 23 tháng 9, vị trí tâm của siêu bão Ragasa (bão số 9) nằm ở khoảng 20,2 độ vĩ bắc, 117,7 độ kinh đông, trên vùng biển phía đông bắc của khu vực bắc Biển Đông. Đây là cơn bão cực mạnh với cường độ cuối cấp 16, đầu cấp 17 (tương đương gió từ 184 đến 221 km/giờ), giật trên cấp 17.

Trong sáng cùng ngày, siêu bão đã bắt đầu suy yếu rõ rệt. Khi đổ bộ vào Quảng Ninh – Hải Phòng, bão đã giảm cấp tới 7 so với ban đầu, còn cấp 10, giật cấp 12. Các dự báo cho thấy, trong vòng 24 giờ tới, siêu bão sẽ di chuyển theo hướng tây tây bắc vào đất liền Trung Quốc với tốc độ khoảng 20 km/giờ.

Đến 10 giờ ngày 24 tháng 9, vị trí của bão tại 21,7 độ vĩ bắc, 113,4 độ kinh đông, cách bán đảo Lôi Châu, Trung Quốc khoảng 340 km về phía đông. Bão vẫn còn mạnh cấp 15-16, giật trên cấp 17, di chuyển về phía bắc với tốc độ 20-25 km/giờ.

Sau khi đổ bộ vào Trung Quốc, bão Ragasa tiếp xúc với đất liền và gặp khối không khí lạnh, khiến sức gió giảm nhanh. Trước khi đổ bộ vào miền Bắc Việt Nam, cường độ của bão đã giảm còn cấp 10, giật cấp 12. Khoảng 10 giờ ngày 25 tháng 9, tâm bão dự kiến sẽ nằm tại vùng biển Quảng Ninh – Hải Phòng, mạnh cấp 10, giật cấp 12, di chuyển theo hướng tây mỗi giờ 20-25 km.

Trong ngày 25 tháng 9, bão tiếp tục suy yếu thành áp thấp nhiệt đới, di chuyển sâu vào đất liền gồm các tỉnh Bắc Bộ, đặc biệt là Quảng Ninh, Thanh Hóa và Nghệ An. Vào tối và đêm 24/9, vùng biển vịnh Bắc Bộ chịu ảnh hưởng lớn với gió mạnh cấp 8-9, giật cấp 14, sóng cao 4-6 m, biển động dữ dội. Nước dâng ven biển dự kiến từ 0,5 đến 1 mét, có nguy cơ sạt lở đê, kè, thiệt hại về nuôi trồng thủy sản và tàu thuyền neo đậu.

Trong ngày 25 và 26 tháng 9, khu vực phía Bắc ghi nhận mưa to đến rất to, phổ biến 100-250 mm, có nơi trên 400 mm, gây nguy cơ ngập úng đô thị và lũ quét tại các khu vực núi thấp. Gió mạnh, giật cấp cao và mưa lớn đòi hỏi sự đề phòng việc xảy ra giông lốc và gió giật mạnh trước, trong và sau thời điểm bão đổ bộ.

Các lực lượng ứng phó đã huy động hơn 300.000 cán bộ chiến sĩ cùng 6 máy bay trực chiến để đảm bảo an toàn, hỗ trợ ứng cứu và giảm thiểu thiệt hại do thiên tai gây ra trong thời điểm bão đổ bộ.

Để lại một bình luận

Email của bạn sẽ không được hiển thị công khai. Các trường bắt buộc được đánh dấu *